ANASAYFA

İLAN

Loading...

Salı

parçalı az bulutlu

3℃

Çarşamba

açık

10℃

Perşembe

parçalı bulutlu

10℃

Cuma

kapalı

10℃

Cumartesi

kapalı

11℃

HAVA DURUMU

3℃

DİĞER HABERLER
Ada içi düzenlemesi
Ayyıldız Mahallesi 896 Ada İçi Düzenlemesi
03 Aralık 2025 Çarşamba
Ada içi düzenlemesi
Çınarlı Mahallesi 2172 Ada İçi Düzenlemesi
03 Aralık 2025 Çarşamba
Duyurular
KİRALAMA 2. İHALE
01 Aralık 2025 Pazartesi
Ada içi düzenlemesi
Sunullah Mahallesi 373 Ada İçi Düzenlemesi
19 Kasım 2025 Çarşamba
Ada içi düzenlemesi
Hacıyusuf Mahallesi 192 Ada İçi Düzenlemesi
19 Kasım 2025 Çarşamba
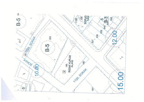
İLAN
22 Eylül 2020 Salı
İlçemiz Paşabayır Mahallesi 2358 ada 3 parselde ‘Resmi Kurum Alanı’ amaçlı Plan değişikliği teklifi Belediyemiz Meclisinin 06.02.2020 tarih ve 25 sayılı kararı ile kabul edilmiştir.    Onaylanan,  Plan değişikliği teklifi Balıkesir Büyükşehir Belediyesi Meclisinin 25.08.2020 tarih ve 549 sayılı kararı ile onanmış olup, 3194 sayılı İmar Kanunun 8/b maddesine istinaden bir ay süre ile ilan edilmek üzere askıya çıkarılmış olup; Belediyemiz İnternet sitesinde yayınlanmaktadır. İlgililere ilanen duyurulur.